HOME

ABOUT US

PORTFOLIO

PRESS

RESOURCES

CONTACT
Portfolio
Portfolio

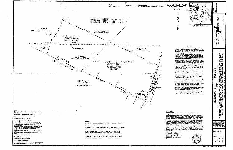
23.75 ACRES
CANYON GOLF ROAD AND WILDERNESS
SAN ANTONIO

 
Presented by: Deborah Bauer
Drake Commercial Group
4630 North Loop 1604 West
Suite 510
San Antonio, Texas 78249
P: 210.402.6363
F: 210.402.6767
Property PackageProperty Package

All information regarding this property is from sources deemed reliable; however, Drake Commercial Group makes no warranty or representations as to the accuracy of the sources of information. This information is submitted subject to errors, omissions, change of price, rental or other conditions, prior sales or lease or withdrawal from market without notice.

 

PROPERTY SUMMARY

Size: 23.75 Acres
 
Price: CALL FOR PRICING
 
Zoning: Out of City Limits - ERZD
 
Utilities: Water/Sewer - Saws
Prospective buyers should retain an independent engineer to verify location, accessibility and capacity of all utilities.
 
Schools: Northeast ISD
 
Comments: SOLD
 
Additonal Comments:  This property is located over the Edwards Aquifer. Beautiful Views-Located in Canyon Springs
 

 

LOCATION MAP




 

AERIAL




 

SURVEY




 

« Back to Portfolio page
» Contact us for more information on this property